Vollanschluss (L1202) Gewerbegebiet Plieninger Str. Ost
Zurück zur Übersicht

Vollanschluss (L1202) Gewerbegebiet Plieninger Str. Ost

Auftraggeber:

Gemeinde Neuhausen auf den Fildern

Leistungen:

Objektplanung, Ausschreibung, Bauleitung

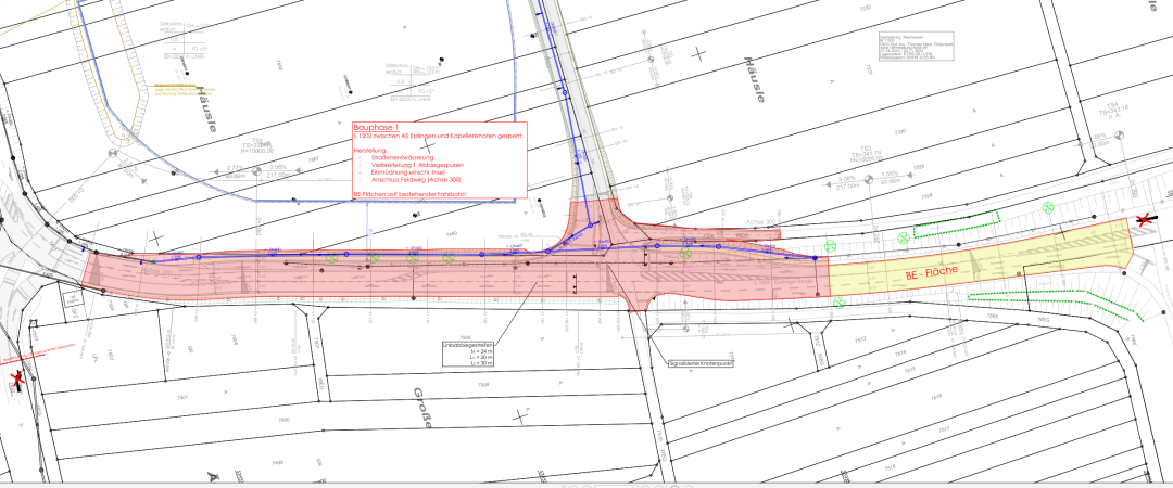
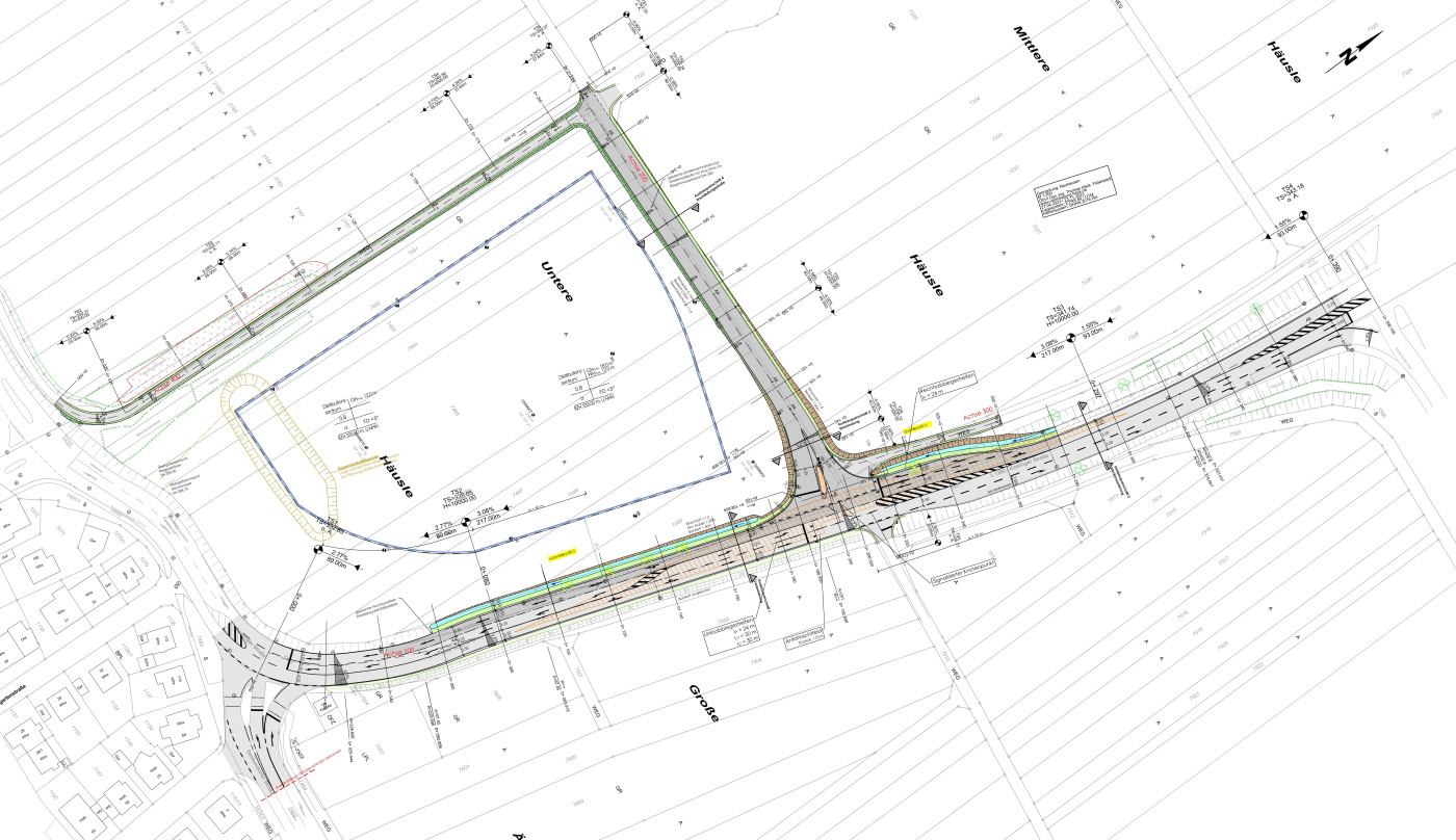
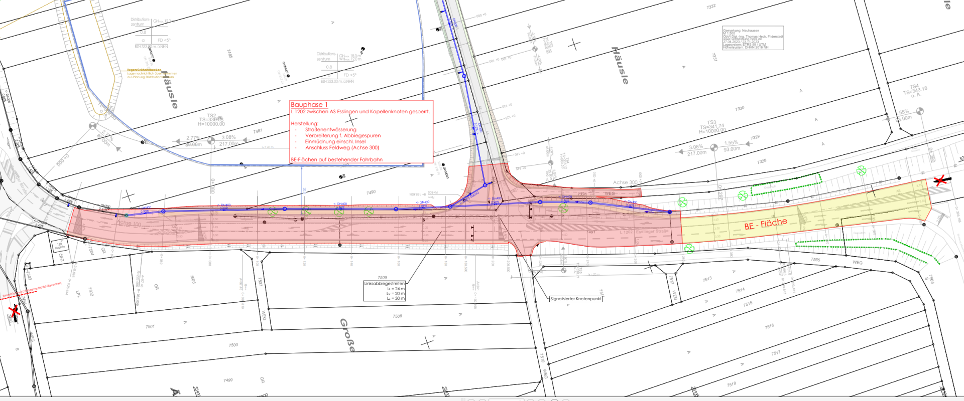
Planung der notwendigen Verkehrsflächen für die Erschließung des Gewerbegebietes "Plieninger Straße Ost" in Neuhausen a. d. F.

Die geplante Erschließungsstraße wird plangleich an die bestehende Landesstraße (L 1202) angebunden. Anhand Verkehrsberechnungen wurden die Abbiegespuren und die Lichtsignalanlage geplant.

Die Verkehrssituation an der bestehenden Kreuzung "Lindenkapelle" wird straßenbaulich und signaltechnisch verbessert, was zu einer Verbesserung der Verkehrsströme führt.

Wir freuen uns auf Ihre Anfrage

Jetzt kontaktieren